Sklypas Lyduokių miestelyje
- 21 000 €
- 228 €/a
Bendra informacija
- 92.31 a
Adresas
Atidaryti "Google" žemėlapiuose-
Adresas: Lyduokiai, Ukmergės rajono savivaldybė
-
Gyvenvietė: Lyduokliai
Aprašymas
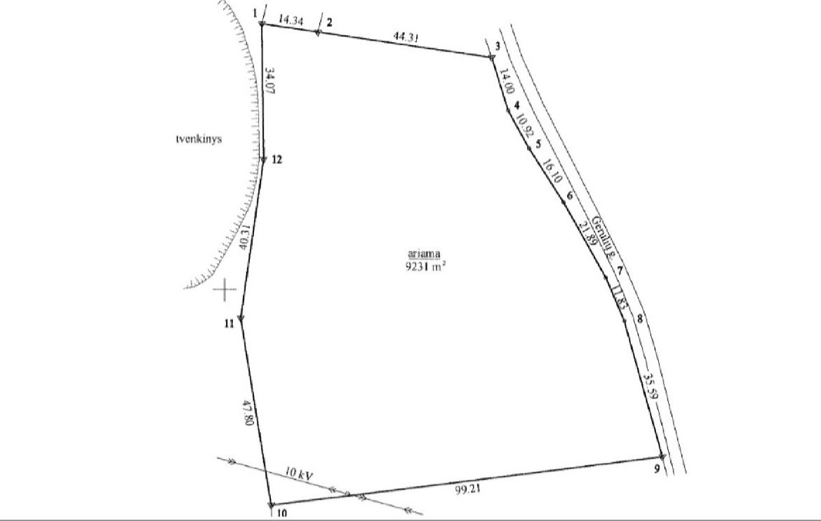
Parduodamas 92,31 aro sklypas Ukmergės rajone, Lyduokių miestelyje, Gerulių gatvėje.
Paskirtis: šiuo metu žemės ūkio, tačiau pagal Ukmergės rajono savivaldybės bendrąjį planą patenka į namų valdos plėtros teritoriją.
Vieta: sklypas ribojasi su Lyduokių miestelio tvenkiniu, todėl čia atsiveria gražūs gamtos vaizdai. Tai puiki vieta įsirengti sodybą erdviame sklype arba, esant poreikiui, padalinti jį į mažesnius namų valdos sklypus.
Vieta: sklypas ribojasi su Lyduokių miestelio tvenkiniu, todėl čia atsiveria gražūs gamtos vaizdai. Tai puiki vieta įsirengti sodybą erdviame sklype arba, esant poreikiui, padalinti jį į mažesnius namų valdos sklypus.
Komunikacijos:
Elektra – prie sklypo elektros dėžė
Miestelio geriamas vanduo (vandentiekis) įvestas į sklypą.
Nuotekas reikėtų įsirengti vietines arba atsivesti iš 120–130 metrų atstumo.
Elektra – prie sklypo elektros dėžė
Miestelio geriamas vanduo (vandentiekis) įvestas į sklypą.
Nuotekas reikėtų įsirengti vietines arba atsivesti iš 120–130 metrų atstumo.
Unikalus daikto numeris: 4400-0904-0857
Koordinatės: 55.264078, 24.944439
Atlikti kadastriniai matavimai.
LYDUOKIŲ MIESTELIO ISTORIJA
Lyduokiai – vienas iš seniausių Ukmergės rajono miestelių, istoriniuose šaltiniuose minimas dar XVII amžiuje. Miestelis ilgą laiką priklausė didikų giminėms ir buvo svarbi Lietuvos Didžiosios Kunigaikštystės dalis.
Svarbiausias Lyduokių architektūrinis paminklas – Šv. Arkangelo Mykolo bažnyčia, kuri pastatyta 1856 m. Ji garsėja savo unikalia medine architektūra ir yra viena iš nedaugelio tokio tipo bažnyčių Lietuvoje.
Miestelio apylinkėse driekiasi vaizdingi laukai, miškai ir tvenkiniai, todėl ši vietovė nuo seno buvo mėgstama tiek vietinių gyventojų, tiek keliautojų. Lyduokių dvaro sodyba, nors ir laiko paženklinta, vis dar mena praeities didybę.
Šiandien Lyduokiai yra jaukus ir ramus miestelis, kuriame dera istorinė praeitis ir natūralios gamtos grožis.
Tai puikus pasirinkimas tiek asmeninei rezidencijai, tiek investicijai !
Parduoda savininkai.
Svarbiausias Lyduokių architektūrinis paminklas – Šv. Arkangelo Mykolo bažnyčia, kuri pastatyta 1856 m. Ji garsėja savo unikalia medine architektūra ir yra viena iš nedaugelio tokio tipo bažnyčių Lietuvoje.
Miestelio apylinkėse driekiasi vaizdingi laukai, miškai ir tvenkiniai, todėl ši vietovė nuo seno buvo mėgstama tiek vietinių gyventojų, tiek keliautojų. Lyduokių dvaro sodyba, nors ir laiko paženklinta, vis dar mena praeities didybę.
Šiandien Lyduokiai yra jaukus ir ramus miestelis, kuriame dera istorinė praeitis ir natūralios gamtos grožis.
Tai puikus pasirinkimas tiek asmeninei rezidencijai, tiek investicijai !
Parduoda savininkai.
Daugiau informacijos telefonu: +37064395072
Išsami informacija
-
Kaina 21 000 €
-
Sklypas 92.31 a
-
Sklypo paskirtis Žemės ūkio, Galima keisti į namų valdą
-
Unikalus sklypo numeris 4400-0904-0857
-
Statusas Parduodama
-
Vietovės ypatumai Su pakrante, Vaizdingoje vietovėje
Papildoma informacija
-
Geodeziniai matavimai Yra
-
Privažiavimas Žvyrkelis
-
Elektra Prie sklypo elektros dėžė
-
Vandentiekis Miestelio
-
Statiniai sklype Nėra
-
Galimybė statyti yra


